druiven krenten

7 berichten / 0 nieuw
Laatste bericht
#1 do, 08/06/2006 - 20:07
bafke

druiven krenten

Nog een vraag over de druiven,wanneer en vooral hoe ga ik druiven krenten?Er zitten best wel veel trosjes in de plant.Wie geeft mij antwoord

druiven krenten
do, 08/06/2006 - 23:25
Anoniem (anoniem geplaatst)

Het trosje op de foto moet eerst nog bloeien.Als deze is uitgebloeid kan je het verschil in grote zien de kleinste niet gezette korreltjes eruit halen daarna die naar binnen staan eruit als er dan nog een enkele korrel bv.als er meer als twee op een basis staan.
Dit hoef je alleen maar bij tafel druiven te doen in een serre staan.
Soorten bv.Black alicante Royal belge Muscaat van alexa. Frankentaler Golden champion. Deze moeten zeker gekrent woorden
Jan

vr, 09/06/2006 - 11:58
Anoniem (anoniem geplaatst)

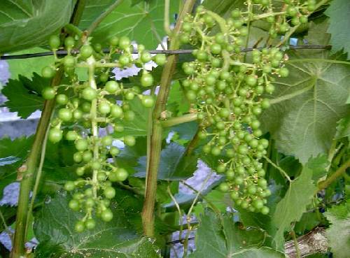
Hier een voorbeeld het moment van krenten Black alicante

druiven krenten
vr, 09/06/2006 - 11:59
Anoniem (anoniem geplaatst)

Hier waarvan er een is gekrent.

druiven krenten
vr, 09/06/2006 - 12:02
Anoniem (anoniem geplaatst)

Hier een bos Frakentaler na gekrent te zijn.
Jan

druiven krenten
vr, 09/06/2006 - 14:30
Anoniem (anoniem geplaatst)

bedankt voor de foto's,nu heb ik 'n idee hoe het moet worden.
Gr.Els

zo, 14/10/2007 - 01:02
Anoniem (anoniem geplaatst)

Is de druif Black Alicante geschikt voor een (onverwarmde) kas, of uitsluitend voor buiten tegen een zuid-muur?

Onderwerp gesloten